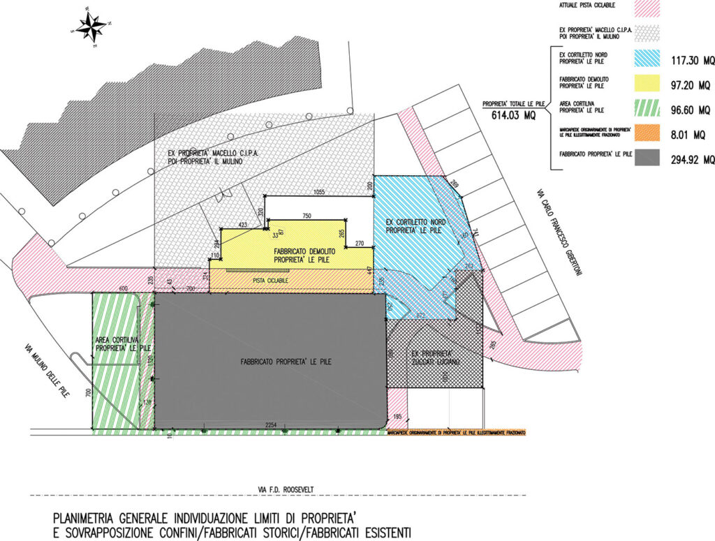
“Il Comune di Carpi ha occupato senza titolo” le porzioni fondiarie della società proprietaria del vecchio Mulino di Cibeno Pile (società Le Pile) ubicato in via Roosevelt, 51 e, pertanto, deve “restituire i suddetti terreni, liberi da persone e cose, con l’obbligo di ripristino dello stato dei luoghi”. La sentenza del 3 dicembre scorso del Tribunale di Modena non lascia adito a dubbi: il giudice Michele Cifarelli ha infatti stabilito come l’ente pubblico debba riconsegnare il terreno di pertinenza del Mulino su cui è stato allocato lo svincolo di via Mulino delle Pile, la famosa pista ciclabile di Cibeno Pile e la porzione di marciapiede e parcheggi che insiste su via Gibertoni poiché occupati illegittimamente. Un boccone amaro da digerire per il Comune di Carpi che si era opposto sostenendo “la legittimità del proprio operato, trattandosi di area destinata a uso pubblico”. Tesi respinta dal Tribunale dal momento che nella documentazione presentata dal legale del Comune “non è possibile ravvisare alcun negozio costitutivo della servitù di uso pubblico” si legge nella sentenza. E a fronte di tale vuoto ne consegue che “la servitù invocata dal Comune non può dirsi costituita fra le parti per negozio”.

Per il giudice “si tratta di un caso di scuola di sconfinamento, ossia del caso in cui la realizzazione dell’opera pubblica abbia interessato un terreno diverso o più esteso rispetto a quello considerato dai provvedimenti amministrativi di occupazione e di espropriazione, oltre che dalla dichiarazione di pubblica utilità… Si tratta, in definitiva, di una condotta illecita dell’Amministrazione incidente sul diritto di proprietà che, quale che sia la sua forma di manifestazione, non può comportare l’acquisizione del fondo”. Il Comune è stato pertanto condannato a liberare lo spazio e restituire tutte le aree illegittimamente occupate, a rimettere in pristino le aree e a rimborsare le spese legali sostenute da Le Pile per il giudizio.
Questo però è solo l’ennesimo capitolo di una saga che perdura da oltre 40 anni ed è ben lungi dall’essersi conclusa. Un tiro alla corda, tra Comune e proprietà, iniziato nel 1985 come spiega l’ingegner Roberto Marconi, tecnico incaricato dalla società Le Pile. “Quell’anno, mio padre, il geometra Ermanno Marconi, acquistò il Mulino per ristrutturarlo e rivenderlo ma la pratica si incagliò immediatamente poiché il Comune si mise di traverso sostenendo come l’area rientrasse nel piano particolareggiato che prevedeva da parte delle società lottizzanti, (Garden, poi inglobata ne Il Mulino e infine acquisita da Cmb) la realizzazione di un nuovo quartiere residenziale dopo il trasferimento dell’allora Coop Ciam”.
Costretta, Le Pile demolisce una porzione di fabbricato per ottemperare al volere dell’Amministrazione e dei suoi urbanisti i quali avevano previsto la costruzione della pista ciclabile: “inizialmente – prosegue Marconi – doveva correre fra il mulino e via Roosevelt poi, invece, su iniziativa e progetto comunale, venne realizzata dietro (ovvero a ovest), in aderenza al Mulino stesso. Una variante su cui però non venne mai sottoscritta una convenzione da parte di tutti i lottizzanti e, pertanto, da ritenersi illegittima. Ricordo inoltre che ogni cessione dev’essere ratificata ufficialmente da un atto notarile, nella fattispecie inesistente”.
E intanto il tempo scorre e il progetto de Le Pile resta al palo: “il terremoto del 2012 – continua l’ingegner Marconi – ha inferto danni ingenti alla struttura e pertanto a Le Pile vengono imposti messa in sicurezza e restauro conservativo dal momento che il bene è vincolato. Un’ordinanza comunale chiede a Le Pile di eseguire una transennatura dello stabile a due metri dalla ciclabile per garantire l’incolumità di chi transita e la proprietà affida a un tecnico la progettazione di riqualificazione del complesso per poter poi accedere ai fondi legati alla Ricostruzione post Sisma 2012. Le fondazioni del Mulino però sorgono sopra al Canale del Gabelo e, dunque, viene richiesto al Comune di nominare un tecnico affinché co-progetti l’intervento come prevede la normativa, anche in questo caso le risposta è stata negativa e tutto si arena nuovamente. Ed è per questo motivo che è in corso un altro procedimento legale contro il Comune di Carpi, e ora al vaglio della Cassazione, in cui la proprietà chiede un risarcimento legato proprio alla perdita di chance della ristrutturazione con fondi pubblici, anche perché, ai sensi del Quadro normativo inerente la Ricostruzione, il Comune ha il dovere di fare ciò direttamente, in caso di disaccordo fra i condomini”
A quel punto si decide di percorrere un’altra strada, quella della permuta del bene. “Un incaricato dell’ente pubblico dopo un sopralluogo stilò una perizia, stimando il valore del Mulino, dopodiché il Comune ci mise di fronte a un ventaglio di possibili beni di sua proprietà tra cui scegliere. Tutto sembrava procedere al meglio, mancava ormai solo la formalizzazione dello scambio ma non meglio precisate opportunità politiche legate a dissidi interni all’Amministrazione, hanno bloccato tutto”, spiega l’ingegnere.
Dopo le elezioni del 2020, il rinnovato sindaco Bellelli nomina l’architetto Righi assessore all’urbanistica, “il quale – precisa Marconi – si era inizialmente dimostrato aperto al dialogo, ma a quel punto a metterci lo zampino è stata la Pandemia, il neo assessore ci informa che non sono più interessati alla permuta e tutto si congela, ancora una volta, e intanto il Mulino, inutilizzabile e sul quale è impossibile intervenire, continua a deteriorarsi a causa della colonizzazione illegittima del Comune di Carpi”.
Un braccio di ferro durissimo: “l’anno scorso il nuovo Dirigente ci ha comunicato che il vincolo di conservazione del Mulino era stato tolto e che Le Pile avrebbe dovuto semplicemente demolire tutto. Perché mai farlo senza contropartita stanti i 40 anni di tentativi inutili e improduttivi di riuso del bene?”.
Ora finalmente qualcosa si è mosso, “il giudice ci ha dato ragione e tra pochi giorni incontreremo l’Amministrazione. Il nostro obiettivo – conclude – è quello di raggiungere un equo accordo transattivo. Vorremmo poter mettere una pietra sul passato, avviare una trattativa e trovare un accordo, consci che il Mulino, pur avendo un valore testimoniale, rappresenta una spina nel fianco per il quartiere e il sito costituisce una risorsa per la rigenerazione locale della città”.
Jessica Bianchi
























